東京の美容整形・もとび美容外科クリニック|新宿駅から4分

検索

もとび美容外科クリニックのSNSをフォローする

BLOG

院長の症例解説ブログ

最新ブログ

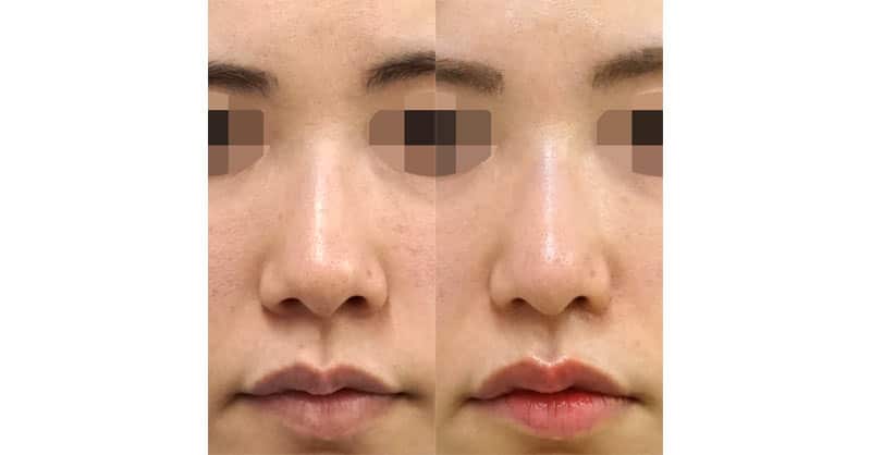
鼻中隔延長 手術直後 左側面 サムネイル

鼻先を鼻中隔延長でしっかり高く|鼻尖形成・鼻中隔延長 手術直後

鼻尖縮小(団子鼻の整形) / 鼻中隔延長

今日は鼻中隔延長の手術前後の変化を見てもらおうと思います。今回のお客様は鼻先がボテッとしているのをシュッとして整えたいとご希望されました。術前のお鼻の状態を側面から見るとこのような感じでした。鼻先は高さがやや低く、ややな......

ブログカテゴリー

新着ブログ一覧

鼻尖形成・鼻中隔延長 手術前 1週間後変化 サムネイル

鼻先の高さをしっかり出して整える|鼻中隔延長+鼻尖形成 1週間後(抜糸直後)

鼻尖縮小(団子鼻の整形) / 鼻中隔延長

今日は鼻中隔延長の症例写真を見てもらいます。今回のお客様は、鼻先をしっかり伸ばしたいということでご来院されました。術前のお鼻はこのような感じでした。 ややアップノーズのため鼻の穴もやや目立っていました。そして、アップノー......

鼻尖縮小・軟骨移植 6ヶ月後 変化 サムネイル

団子鼻をすっきり整える|鼻尖縮小、鼻尖軟骨移植 6ヶ月後

鼻尖縮小(団子鼻の整形) / 鼻尖軟骨移植

今回は鼻尖縮小・軟骨移植の症例です。今回のお客様は団子鼻を気にされてご来院されました。術前の画像はこんな感じでした。 鼻先はやや鼻翼軟骨がやや広がっていて団子鼻でした。鼻先がやや上を向いており(アップノーズ)、小鼻と鼻先......

自然に鼻をすっきりさせる|小鼻縮小(内側+外側)、鼻尖縮小+軟骨移植 3ヶ月後 

鼻尖縮小(団子鼻の整形) / 鼻尖軟骨移植 / 鼻翼縮小(内側+外側法)

今回のお客様は小鼻を小さくしたい、自然な感じで鼻を整えたいとご希望されご来院されました。術前の画像はこんな感じでした。 正面から見ると、小鼻は気にされている通り、幅があり、張り出し(丸み)もありました。小鼻がやや多きいた......

鼻尖縮小・軟骨移植・ストラット 6ヶ月後 サムネイル

自然な感じで鼻先を整える|鼻尖縮小・軟骨移植・ストラット 6ヶ月後

鼻尖縮小(団子鼻の整形) / 鼻尖軟骨移植

今回は鼻先のオペの症例の方です。お客様は、自然な感じで鼻先を整えたいとご希望され来院されました。術前の鼻先はこのような感じでした。 鼻柱に対して鼻先が上がっており(アップノーズ)鼻先が低い感じでした。鼻翼の組織も少なく、......

小鼻を小さくしてすっきりさせる|鼻翼縮小(内側法+外側法)、プロテーゼ入れ替え 3ヶ月後

鼻翼縮小(内側+外側法)

今日は小鼻縮小(鼻翼縮小)の外側法+内側法をおこなった方の症例写真です。術前の状態はこのような感じでした。それほど小鼻が大きく目立っているわけではありませんでした。ただ、ご本人は小鼻の大きさを気にされており、もう少し小さ......

ミスコ(MISKO)8本 1週間後 左側面 サムネイル

切らずに効果の高いミスコ(切らない鼻尖延長) 1週間後、1か月後、6ヶ月後

切らない鼻尖延長術(ミスコ、MISKO)

今日の症例はミスコ(切らない鼻尖延長・切らない鼻中隔延長)をおこなったお客様です。プチ整形で鼻先を高くしたいとのことご希望されて来院されました。来院時の画像はこのような感じでした。 鼻先は低めで、かつ、上向きのアップノー......

鼻先と鼻の穴をすっきりと整える。鼻尖縮小+軟骨移植+ストラット、鼻翼縮小(内+外) 3ヶ月後

鼻尖縮小(団子鼻の整形) / 鼻尖軟骨移植 / 鼻翼縮小(内側+外側法)

今回は、鼻先と小鼻の手術の症例写真です。お客様は、ご来院の際、鼻の穴が目立つのが気になる、鼻先を少し下げたいとご希望されました。自分の顔に合う忘れ鼻にしたいとのことでした。術前の画像を見てもらいます。 術前の鼻の状態は、......

少し垂れぎみの団子鼻を細くすっきり 鼻尖縮小、軟骨移植、ストラット 1ヶ月後

鼻尖縮小(団子鼻の整形) / 鼻尖軟骨移植

今回は鼻先の症例写真です。お客様は以前に鼻にプロテーゼを入れていらっしゃっていたのですが、鼻先の団子鼻が気になるとのことでご来院されました。術前の画像です。 おっしゃる通り、団子鼻気味で横から見ても鼻先の高さが低く、メリ......

鼻尖縮小(3D法)、鼻柱基部下降、鼻孔縁延長 1ヶ月後 右側面 1ヶ月後 サムネイル

たれ鼻を複合手術で整えました(鼻尖縮小(3D法)+ストラット、鼻柱基部下降、鼻孔縁延長) 1ヶ月後

鼻尖縮小3D法(団子鼻の整形) / 鼻尖軟骨移植 / 鼻柱基部下降 / 鼻孔縁下降 / 鼻孔縁下降

今回の症例は、鼻の複合手術を行って整えたお客様です。お客様は、年齢と共に鼻が垂れてきたとお話しされていました。画像を見ていただきます。 正面から見た感じは鼻先の皮膚はやや厚く、丸みがありました。軟骨もやや傾いており、鼻先......

鼻を高く、鼻スジも通して、鼻柱も下げて整えたい。鼻中隔延長、鼻尖縮小、鼻柱下降、鼻プロテーゼ 1ヶ月後

シリコンプロテーゼ(鼻) / 鼻尖軟骨移植 / 鼻中隔延長 / 鼻柱基部下降 / 鼻柱下降

今日は鼻中隔延長の症例写真を見ていただきます。今回の症例の方は鼻が低いこと、小さいことを気にされていたお客様です。術前の画像はこのような感じでした。 鼻は全体的に小さく、ACRは上向きでした(小鼻より鼻柱が高い状態)鼻ス......

鼻先を細くシュッとさせたい。鼻尖縮小、軟骨移植、ストラット 6ヶ月後

鼻尖縮小(団子鼻の整形) / 鼻尖軟骨移植

今回は鼻尖縮小・耳介軟骨移植・ストラット(支柱)をおこなった方の症例写真です。今回の方は、鼻先を高くしたいとのことで、以前に糸で鼻先を高くするミスコをおこなったことがある方でした。ミスコは半年で糸が溶けて効果がなくなって......

監修医師

監修医師

西尾 謙三郎 医師(院長) Kenzaburo Nishio

20年以上の実績を持つ美容外科専門医。丁寧で繊細な施術でお客様の望む実現を目指す。 「お客様のもつ本来の美しさを引き出す」ことをモットーに「もとび」美容外科クリニックを設立。

医師
もとび美容外科クリニック 院長
西尾 謙三郎
経歴

平成14年 札幌医科大学医学部医学科 卒業

平成26年 もとび美容外科クリニック開院

資格

美容外科専門医(JSAS)

日本アンチエイジング外科学会専門医

アラガンボトックスビスタ 認定医

所属学会

日本美容外科学会(JSAPS)

日本美容外科学会(JSAS)

日本形成外科学会

日本美容皮膚科学会

日本加齢医師会

日本レーザー医学会

日本美容外科医師会

詳細を見る
西尾 謙三郎 医師(院長)
西尾 謙三郎 医師(院長) Kenzaburo Nishio

もとび美容外科クリニックのSNSをフォローする